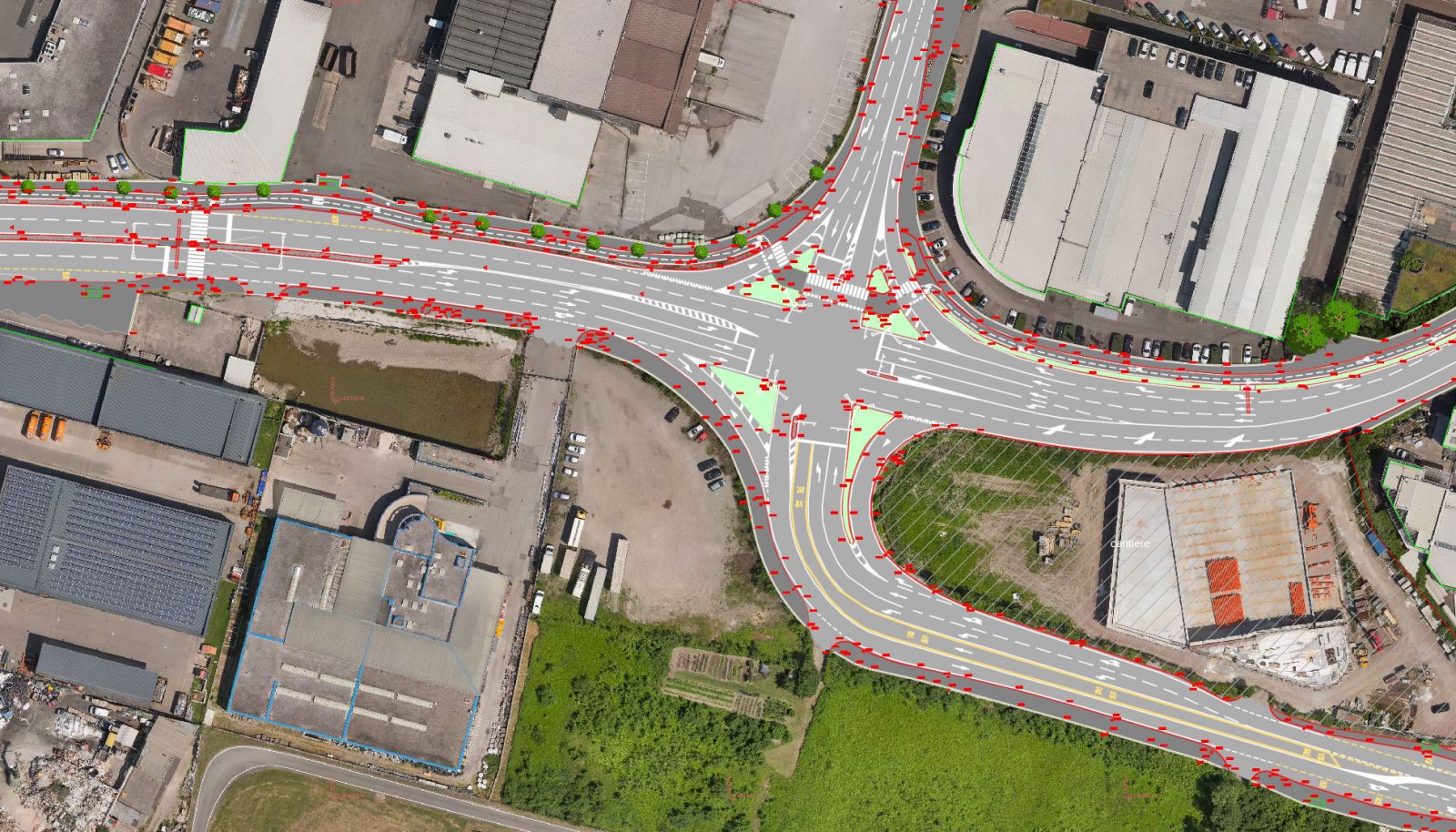
Settore

Rilievo via Einstein Bolzano (superficie rilevata: 7.5 ettari)